
Furacão Melissa toca solo da Jamaica com ventos de 295 km/h
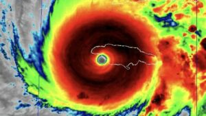
Reprodução/ NOAA Furacão Melissa O furacão Melissa atingiu o solo da Jamaica por volta das 14h desta terça-feira (28), no horário de Brasília, com força

Reprodução/ NOAA Furacão Melissa O furacão Melissa atingiu o solo da Jamaica por volta das 14h desta terça-feira (28), no horário de Brasília, com força

Foto: Reprodução EUA realizaram ataques a pelo menos dez supostas embarcações de tráfico de droga, matando ao menos 43 pessoas O secretário de Defesa dos

Reprodução X Avião é desviado após homem atacar dois jovens com garfo de metal Um voo da Lufthansa que partiu de Chicago com destino à

Reprodução X Sete pessoas morrem antes da chegada do furacão Melissa à Jamaica O furacão Melissa já deixou ao menos sete mortos em todo o

Kyodo/picture alliance Japão pede apoio militar após recorde de ataques de ursos O governador da província de Akita, no norte do Japão, fez um pedido

Fonte: IA O totalitarismo não precisa de tanques para triunfar; basta a deturpação político-ideológica da toga. A história constitucional revela iminente risco para a liberdade

Foto: Lula Marques/Agência Brasil O presidente Hugo Motta (Republicanos-PB) conversa com parlamentares durante extraordinária semipresencial Dezenas de milhares de pessoas foram às ruas das principais

Fabio Rodrigues-Pozzebom/ Agência Brasil O ex-presidente Jair Bolsonaro foi condenado a 27 anos e 3 meses de prisão por crimes relacionados à trama golpista A

Reprodução/Pexels Chuva e frio voltam a SP após fim de semana de calor A passagem de uma frente fria pelo litoral do Sudeste traz instabilidade para boa

Reprodução/ Flikr/cop.audiovisual Catedral Metropolitana em Belém do Pará. A Polícia Federal (PF) vai reforçar a segurança do Aeroporto Internacional de Belém durante a 30ª Conferência

Reprodução/ NOAA Furacão Melissa O furacão Melissa atingiu o solo da Jamaica por volta das 14h desta terça-feira (28), no horário de Brasília, com força

Foto: Reprodução EUA realizaram ataques a pelo menos dez supostas embarcações de tráfico de droga, matando ao menos 43 pessoas O secretário de Defesa dos

Reprodução X Avião é desviado após homem atacar dois jovens com garfo de metal Um voo da Lufthansa que partiu de Chicago com destino à

Reprodução X Sete pessoas morrem antes da chegada do furacão Melissa à Jamaica O furacão Melissa já deixou ao menos sete mortos em todo o

Kyodo/picture alliance Japão pede apoio militar após recorde de ataques de ursos O governador da província de Akita, no norte do Japão, fez um pedido

Fonte: IA O totalitarismo não precisa de tanques para triunfar; basta a deturpação político-ideológica da toga. A história constitucional revela iminente risco para a liberdade

Foto: Lula Marques/Agência Brasil O presidente Hugo Motta (Republicanos-PB) conversa com parlamentares durante extraordinária semipresencial Dezenas de milhares de pessoas foram às ruas das principais

Fabio Rodrigues-Pozzebom/ Agência Brasil O ex-presidente Jair Bolsonaro foi condenado a 27 anos e 3 meses de prisão por crimes relacionados à trama golpista A

Reprodução/Pexels Chuva e frio voltam a SP após fim de semana de calor A passagem de uma frente fria pelo litoral do Sudeste traz instabilidade para boa

Reprodução/ Flikr/cop.audiovisual Catedral Metropolitana em Belém do Pará. A Polícia Federal (PF) vai reforçar a segurança do Aeroporto Internacional de Belém durante a 30ª Conferência